このページを印刷する
- 価格
-
900万円
- 坪単価
- 10万円
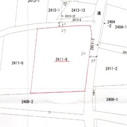
| 所在地 | 長野県安曇野市豊科南穂高3899-3 |
|---|---|
| 建物名 | <豊科南穂高>売地 |
| 交通 |
|
| 駐車場 | 取引態様 | 一般 | |
|---|---|---|---|
| 引渡/入居時期 | 即時 | 現況 | |
| 地目 | 宅地 | 用途地域 | 無指定 |
| 都市計画 | 非線引き区域 | 地勢 | |
| 土地面積 | 303.31m²(91.75坪) | 土地面積計測方式 | 公簿 |
| 建ぺい率 | 60% | 容積率 | 100% |
| 土地権利 | 所有権 | 接道状況 | 一方 |
| 接道方向1 | 南 | 接道間口1 | 18m |
| 接道種別1 | 公道 | 接道幅員1 | 2.5m |
| 周辺環境 | |||
| 設備・条件 |
|
||
| 自社物 | 自社物 | 状態 | 売出中 |
| 物件番号 | 071012更新 | 掲載期限日 | 2026年1月12日 |
| 情報登録日 | 2025年10月12日 | 情報更新日 | 2026年4月28日 |
物件掲載内容と現況に相違がある場合は現況を優先といたします。
物件動画
物件周辺マップ
ご注意
- 物件によっては正確な位置を示していない場合がございます。
- 現況が表示された内容と異なる場合は現況優先といたします。
- 表示されてる地図はOpenStreetMapより提供されてるデータに基づいたものであり、表示内容についての責任は負いかねます。















